张家港一村党委书记被实名举报花8万元买烟酒
送礼3次,花了7千;一顿饭,吃掉1万元,买螃蟹花了1千元;购买香烟,花去近3.6万元,每瓶360元的白酒买了20箱,花掉4.3万元……
近日,苏州张家港市凤凰镇双塘村党委书记夏丽萍等公款消费送礼的“内部账”遭到实名举报,并被曝光。
11月12日,张家港市委常委、市纪委书记、市监委主任张玮对澎湃新闻答复称,对上述举报,目前纪委监委正在立案审查之中,尚未作出处分决定,调查情况目前暂不能公开。处理结果将及时反馈给实名举报人。
实名举报者是张家港市双塘村原党委副书记钱静芳。钱对澎湃新闻说,上述消费的原始单据,都是她尚未被调走时在村里会计账簿上拍到的,里面几乎每笔消费支出的证明单或收据都有夏丽萍的“同意支付”的签字。
钱静芳还反映,除了公款吃喝外,夏丽萍涉嫌擅自篡改拆迁协议书,将前任书记定下的30多万对当地砖瓦厂的拆迁补偿款,一下提高到55.68万。而据钱静芳称,该砖瓦厂老板与夏丽萍是叔嫂关系。
夏丽萍对澎湃新闻表示,整件事很复杂,并不像举报信上内容这么简单,她本人不便回应。不过,她说张家港市纪委已经找她多次谈话了解情况,“应该最近就能出来调查结果了”。
举报:买烟酒花去了近8万元
钱静芳称,夏丽萍2016年6月从隔壁的湖滨社区党支部书记、主任调任双塘村任党委书记后,用公款购买了烟、酒、螃蟹等,用于吃喝或接待、送礼。
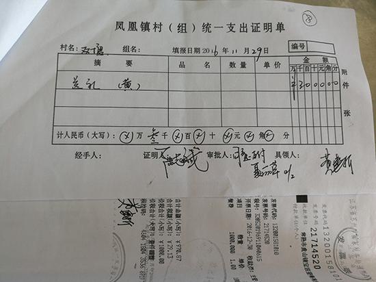
餐费,1万元 购买螃蟹,1100元钱静芳给澎湃新闻出示了她拍到的会计账簿上支出证明单,可以看出2016年11月到2017年1月这三个月,花费超过5万元,每一笔都备注有支出项目,且有村委会主任陆志斌签名,以及夏丽萍“同意支付”的签字。
其中,“送礼”3次,花去了7千元,餐费花去1万元,螃蟹花费1100元。
数额较大的一笔是,2017年1月25日,购买香烟花了将近3.6万元,收款方盖章为张家港市凤凰镇港口夏氏商行。
另一笔大额收据,未填写入账日期,收款事由为白酒20箱,共120瓶,每瓶360元,收款方式为现金,总计4.32万元。
篡改提高拆迁补偿金额?
钱静芳从2010年起任双塘村党委副书记,同时兼任恬源社区党支部书记、主任。2016年7月,夏丽萍调任双塘村任党委书记。
钱静芳说,今年6月25日,本来分管党务工作的她发现自己莫名被免去了村党委副书记的职务,同时被调去镇办事处,没有职位,享受科长待遇。
钱静芳认为,自己是“遭到了打击报复”。她认为,事情的起因是,去年年底,她没有顺着夏丽萍的意思给一份事后补写的会议纪要签字。
送礼(黄),3000元 送礼(金谷陆),2000元 送礼(徐卫某),2000元这份会议纪要显示,2017年5月26日一次党委、村委会议通报并讨论了对该村3家企业拆迁补偿情况以及村贷款情况等。据钱静芳称,直到半年之后,夏丽萍才拿出这份会议纪要让钱静芳签字,但钱静芳没有直接签字,而是写了一段文字——“黄惠峰砖瓦厂55.6万核对由顾建峰签字。”
顾建峰是该村前任党委书记,钱静芳说,她猜测“55.68”万的拆迁补偿数额有问题,因为与砖瓦厂的拆迁补偿方案是在前任书记顾建峰任内确定,而她记得当时确定的拆迁补偿金额为34万元左右,而不是如今的55.68万元。
钱静芳说,当时正值苏州市委第六巡视组进驻张家港凤凰镇开展为期1个月的巡查,巡查内容包括对村级资产、财务管理等相关事项的检查。
钱静芳认为,因此夏丽萍等人炮制了上述这份会议纪要,并让时任党委副书记的她签字,其目的是掩饰在请客送礼和吃喝中所使用的公款款项和资金漏洞。
在夏氏商行购买香烟,花费近3.6万元如今这份落款为2016年5月31日的“拆迁协议”上写着,给黄惠峰砖头场的拆迁补偿款为55.68万元,第二页的签字人有时任党委书记顾建峰。
今年10月29日,钱静芳当着澎湃新闻记者的面给顾建峰打电话,对方明确表示,“当时协议签的是30多万,而且本来评估价只有20多万,后来一步步协商才提高到了30多万”。
由此,钱静芳怀疑夏丽萍篡改了当时的拆迁补偿协议,一次性提高了20多万元补偿。
钱静芳说,夏丽萍与砖头场老板黄惠峰是叔嫂关系。多名村民向澎湃新闻证实了两人系叔嫂关系。
当事人:事情很复杂,纪委已介入调查
面对这些疑问,夏丽萍并没有直接否认或明确答复,她对澎湃新闻记者说,事情很复杂,没有举报信上那么简单,但她不便答复。
她说,张家港市纪委已经介入调查,且多次找她了解情况。“这件事的调查结果应该快出来了。”
11月12日,张家港市委常委、市纪委书记、市监委主任张玮向澎湃新闻答复称:目前纪委监委正在立案审查之中,尚未作出处分决定。因工作纪律规定,调查情况目前不能公开。处理结果将及时反馈实名举报人。
11月13日上午,夏丽萍再次对澎湃新闻记者表示“以纪委的通报为准”,她不便回应。








